El ciclo de la vid comienza y finaliza con un período de reposo invernal, pero la transformación tiene lugar entre las estaciones de primavera y verano, cuando las vides pasan por las etapas de crecimiento y maduración. Desde la brotación de las primeras yemas en primavera hasta la cosecha de racimos maduros en otoño o vendimia, descubre el milagro de la transformación de las vides a lo largo del año.
1.- DESCANSO INVERNAL: UN SUEÑO MERECIDO
Cuando caen las hojas y se recolectan los últimos racimos, las vides entran en un período de inactividad llamado reposo invernal, que generalmente dura de diciembre a febrero. Si bien el paisaje vitivinícola puede parecer inactivo y tranquilo durante estos fríos meses de invierno, en realidad es una fase crucial para la supervivencia y la salud de la vid. La parada vegetativa es una reacción natural de las plantas al frío del invierno. Es una especie de sueño que protege a la vid de las heladas, reduciendo su actividad metabólica y conservando su energía para la próxima temporada de crecimiento. Durante esta fase, la savia de la vid desciende desde las hojas hasta las raíces, lo que le permite sobrevivir a las temperaturas más bajas.
La parada vegetativa ofrece a los viticultores una valiosa oportunidad para preparar las vides para el próximo año. Es durante este descanso invernal cuando se realiza la poda, operación de mantenimiento imprescindible que consiste en cortar los sarmientos (ramas de la vid) del año anterior. Esta poda ayuda a controlar la forma y el tamaño de la cepa, pero también juega un papel crucial en la regulación de la producción de uva para la siguiente campaña. De hecho, al limitar la cantidad de madera del fruto, favorecemos la concentración de nutrientes en menos cogollos, lo que favorece la calidad de la uva.
Cuando comienzan a aparecer los primeros signos de la primavera, la vid se prepara para salir de su letargo y entrar en la siguiente fase de su ciclo: la brotación, luego la savia comienza a subir a la madera por acción capilar y vemos a la vid llorando, al final del periodo de inactividad.
2.- LA BROTACIÓN: EL DESPERTAR PRIMAVERAL DE LAS VIDES

Con la llegada de la primavera, generalmente entre marzo y abril, la vid sale de su letargo invernal para comenzar una nueva temporada de crecimiento. Es en este preciso instante es cuando de los cortes en los extremos de las ramas se comienzan a formar una especie de lágrimas. A partir de este momento, se producirá un goteo constante en pequeñas cantidades de un líquido transparente formado por diferentes sustancias vegetales al que se llama “lloro de la vid”.
Así mismo, se produce una activación de las raíces que provoca que a lo largo de las semanas las yemas se hinchen y aumenten su tamaño, dando lugar a nuevos brotes que comenzarán a ser visibles a mediados del mes de abril. En los sarmientos aparecerán los primeros nudos, una especie de protuberancias o yemas de las que se desarrollarán las hojas y las flores.
Este periodo se conoce como brotación, que significa estallido de las yemas. Tras los meses de reposo invernal, la savia asciende en las vides hacia los cogollos que empiezan a hincharse y reventar. Este es un momento crucial, ya que es la primera señal de la nueva temporada de cultivo. Cada cogollo contiene el potencial de un futuro racimo de uvas, por lo que la cantidad y la salud de los cogollos pueden dar una indicación temprana de la próxima cosecha.
El desborre (hinchamiento de las yemas y separación gradual de las escamas protectoras) es una fase extremadamente delicada y vulnerable para la vid. Los brotes jóvenes son sensibles a las variaciones climáticas, en particular a las heladas tardías de primavera, que pueden causar daños considerables. A medida que aumentan las temperaturas y los días se alargan, los cogollos se convierten en tiernos tallos verdes que crecen a un ritmo sorprendentemente rápido. Estos nuevos brotes darán las hojas y los racimos de uva del año. En este punto, la vid se prepara para la siguiente etapa del ciclo, la floración, que depende en gran medida de las condiciones climáticas primaverales.

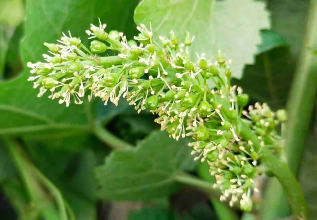
3.- FLORACIÓN: NACIMIENTO DE FUTUROS RACIMOS
Después de la brotación, el ciclo de la vid continúa y generalmente entra en la fase de floración alrededor de mayo o junio. Esta fase marca una etapa esencial en el ciclo de la vid, porque es cuando toman forma los futuros racimos de uva.
En los nuevos brotes aparecen inflorescencias, agrupaciones de pequeñas flores. Estas flores pasan bastante desapercibidas, no tienen ni el aroma ni la paleta de colores que generalmente asociamos con las flores. Sin embargo, desempeñan un papel crucial en la producción de la uva.
La vid no necesita de otras plantas para su reproducción. Cada flor contiene órganos reproductores masculinos y femeninos, lo que permite la autofecundación. Bajo el efecto del calor, los capullos florales caen liberando los estambres que a su vez liberan polen que fecunda la flor. Una floración exitosa es un factor clave para la cantidad y calidad de la futura cosecha.
Las condiciones climáticas desfavorables, como el frío, la lluvia o el viento, pueden perturbar la fertilización y, por tanto, reducir el número de bayas en los racimos o provocar el corrimiento (las flores caen sin producir frutos) o millerandage (cuando las bayas son de diferentes tamaños).
Una vez que la fertilización es exitosa, cada flor comienza a transformarse en una pequeña baya, marcando el inicio de la siguiente etapa del ciclo de la vid: el cuajado. Este paso, igualmente importante, supondrá la transformación de estas pequeñas bayas en fruto.

4.- CUAJADO DEL FRUTO O FRUCTIFICACIÓN: INICIO DE LA FORMACIÓN DEL FRUTO
El cuajado es la etapa posterior a la floración en el ciclo de la vid. Suele ocurrir en junio, cuando las pequeñas flores fertilizadas comienzan a convertirse en diminutas bayas de uva.
El cuajado o fructificación es un momento crítico en el ciclo de la vid. Durante esta fase, cada flor fecundada se convierte en una pequeña baya verde que, a medida que crece, empieza a parecerse a un auténtico racimo de uvas. Sin embargo, no todas las flores se convertirán con éxito en bayas. Algunas pueden no ser fertilizadas adecuadamente, especialmente si hay condiciones climáticas adversas durante la floración, y estas flores caen sin dar fruto.
Durante el cuajado se determina el tamaño y la forma de los racimos para la temporada. Los viticultores pueden evaluar la calidad potencial de la cosecha en función del cuajado. Si el proceso se realiza correctamente, los racimos quedarán bien formados y densos, prometiendo una buena cosecha. También es un período durante el cual la vid es particularmente sensible a los elementos. Las condiciones climáticas extremas, las enfermedades o las plagas pueden dañar los frutos jóvenes. Por tanto, los viticultores deben estar atentos y dispuestos a intervenir si es necesario para proteger sus vides.
El cuajado marca el comienzo de la fase de crecimiento del fruto. Pasada esta etapa, las bayas seguirán desarrollándose y madurando durante varias semanas, hasta llegar a la siguiente etapa del ciclo de la vid, conocida como envero…

5.- ENVERO: LA TRANSICIÓN A LA MADUREZ
Entre julio y agosto, las vides entran en una fase apasionante del ciclo: el envero. Este término se refiere al momento en que las uvas comienzan a madurar, pasando de verde a rojo o negro para las variedades de uva tinta, y a un color amarillo translúcido para las variedades de uva blanca.
El envero supone un verdadero punto de inflexión en el ciclo de la vid, marcando la transición del crecimiento a la maduración del fruto. Las bayas comienzan a hincharse acumulando agua, azúcares, ácidos y compuestos aromáticos que le darán al vino su sabor y aroma únicos. También es en esta etapa cuando las semillas de la uva alcanzan su tamaño definitivo.

El envero es un proceso que se prolonga durante varias semanas. No ocurre simultáneamente en todas las bayas, ni siquiera en todos los racimos de una misma vid. Esto significa que, con el tiempo, una vid puede tener racimos en diferentes estados de madurez, algunos todavía verdes y otros ya cambiando de color.
Esta fase es también un momento crítico para la vid en términos de vulnerabilidad. Las bayas maduras atraen a muchos animales, incluidos pájaros e insectos, y también son más susceptibles a las enfermedades. Por tanto, los viticultores deben extremar la vigilancia para proteger su cosecha. El envero es un espectáculo visualmente impresionante en los viñedos, con los racimos de uvas cambiando de color y prometiendo una próxima cosecha. También anuncia la cuenta atrás final para la fase más esperada del ciclo de la vid: la vendimia. Sin embargo, antes de llegar a esta etapa, las bayas todavía tendrán algunas semanas para alcanzar la madurez completa.
6.- MADUREZ: LA APROXIMACIÓN A LA COSECHA
Después del envero, las uvas entran en un período de maduración. Es durante esta fase, generalmente desde finales de agosto hasta septiembre, cuando las bayas alcanzan su madurez óptima. La duración de esta fase puede variar dependiendo de las condiciones climáticas, variedad de uva y prácticas vitícolas.
Durante este periodo, las bayas siguen acumulando azúcares mediante la fotosíntesis, lo que aumentará el potencial alcohólico del vino. Al mismo tiempo, disminuye la acidez de las bayas, especialmente el ácido málico, lo que contribuye a un equilibrio más armonioso entre dulzor y acidez.
La maduración es también el momento en que se desarrollan los compuestos fenólicos, como los taninos en la piel de las uvas y las antocianinas que dan el color a las uvas tintas. Estos compuestos juegan un papel esencial en la estructura, el color y el potencial de envejecimiento del vino.
La fecha de la cosecha o vendimia está determinada por la madurez de las bayas. Los viticultores evalúan la madurez midiendo el nivel de azúcar, la acidez y el pH de las bayas, pero también probándolas y observando su textura. Es crucial lograr un perfecto equilibrio entre azúcar y acidez, porque una vez recolectadas no se puede cambiar la composición química de las uvas.
Se trata, pues, de un periodo de intenso seguimiento de las vides, en el que los viticultores esperan el momento perfecto para iniciar la vendimia. Esta fase de maduración marca la culminación de todo un ciclo de crecimiento, una anticipación llena de emoción y ansiedad antes de la etapa final: la cosecha.
7.- LA VENDIMIA: FRUTO DE TODO UN AÑO DE TRABAJO
La última fase del ciclo de la vid es la vendimia, que generalmente se realiza entre septiembre y octubre, pero puede variar según el clima, la variedad de uva y el tipo de vino que el enólogo desee elaborar. Este es el momento en que se cosechan los racimos de uva para convertirlos en vino.
Tras meses de crecimiento, cuidados y seguimiento, es el momento culminante de todo un ciclo de trabajo. Los viñedos cobran vida con una intensa actividad, con vendimiadores recorriendo las hileras de vides para cosechar los preciosos racimos. Aunque hoy en día algunas regiones vitivinícolas emplean máquinas vendimiadoras, muchos productores todavía prefieren la vendimia manual para garantizar un manejo cuidadoso de las uvas.
Una vez recolectados, los racimos son transportados rápidamente a la bodega para iniciar el proceso de elaboración del vino. Es entonces cuando el trabajo del enólogo pasa del viñedo a la bodega. Las uvas se prensan y fermentan para transformar los azúcares en alcohol, dando origen al vino.
La vendimia no es sólo la culminación del ciclo anual de la vid, sino también el inicio de un nuevo ciclo de la vid. Mientras las vides comienzan a prepararse para el invierno y un merecido descanso, el enólogo se da a la tarea de transformar el fruto del año en vino.
Con el fin de la vendimia, también llegamos al final de nuestra exploración del ciclo de la vid. Es una celebración del viaje anual que transforma una yema en un racimo de uvas maduro, listo para convertirse en vino. Y así como apreciamos la complejidad y los matices de cada copa de vino, ahora también podemos apreciar el fascinante y minucioso recorrido que llevó a su creación.

8.- PARADA VEGETATIVA: LA VID ENTRA EN REPOSO Y SE PRODUCE EL FIN DEL CICLO
La cosecha puede marcar el final del ciclo de crecimiento de la vid, pero queda una última etapa importante antes de que el ciclo comience nuevamente: la parada vegetativa de la vid o letargo.
Tras la cosecha, las vides comienzan a prepararse para el invierno. Las hojas cambian de color, de verde a amarillo, naranja y rojo, antes de caer finalmente, dejando las cepas desnudas. Durante este período de inactividad, normalmente de noviembre a febrero, las vides están en reposo, acumulando reservas para el ciclo vegetativo del año siguiente.
El letargo es un momento crucial para las vides, ya que permite a la planta sobrevivir a las duras condiciones invernales y prepararse para la primavera. Mientras tanto, los viticultores realizan labores de mantenimiento, como la poda, que ayudarán a determinar la cantidad y calidad de la cosecha del año siguiente.

EL CICLO DE LA VID, VALORACIÓN DE UN PROCESO COMPLEJO
El ciclo de la vid es un proceso complejo y fascinante que requiere una atención constante por parte de los viticultores. Cada fase tiene sus propios desafíos y requisitos, y el éxito de la cosecha depende del manejo de estas fases por parte del viticultor. Aunque el clima y el terruño juegan un papel importante, es el trabajo duro, el esmero y el conocimiento del viticultor lo que finalmente permite que el viñedo produzca las uvas que se convertirán en vino.
Cuando catamos una copa de vino, no sólo estamos catando un producto, sino también un año de trabajo y mimo, expresión del terroir y culminación de un ciclo natural que se repite año tras año. Así, cada copa de vino es una celebración de la vid, de su ciclo y del trabajo de quienes se dedican a su cultivo.